
Après Bali, nous nous envolons vers Flores, la troisième île de Nusa Tenggara (autrement appelées les Petites Îles de la Sonde, en opposition aux Grandes Îles que sont Sumatra et Java).
Nous atterrissons à Labuan Bajo, la capitale, qui se trouve tout à l’Ouest en face de Komodo.
Nous commençons par faire le tour des centres de plongée et bookons 3 journées avec Manta Rhei. Nous nous attaquons ensuite à un problème plus épineux, la prolongation de notre visa. Direction le bureau de l’immigration où on nous confirme que nous avons besoin d’un sponsor, c’est-à-dire une personne florésienne qui sera « responsable » de nos actes (on croyait qu’être majeurs suffisait…). Bref, nous voilà en quête de ce bon samaritain. Nous repassons au club de plongée qui nous propose de nous aider. Après moult rebondissements, c’est finalement le pote de la femme d’un des moniteurs qui sera notre sponsor. Retour au bureau de l’immigration avec tous les papiers et notre sponsor, un petit interrogatoire pour tout le monde en prime, et il n’y a plus qu’à attendre 3 jours.

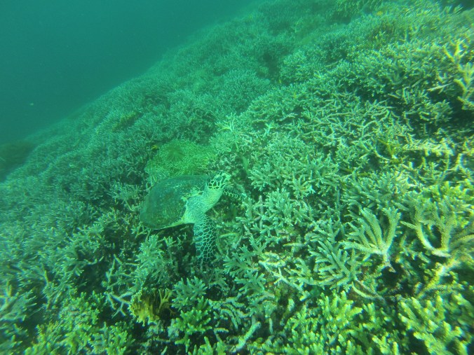
Les 3 prochaines journées sont beaucoup plus sympathiques ! Nous partons plonger dans le parc national de Komodo qui regroupe certains des plus beaux spots de plongée du monde. Et pour une fois, on ne nous a pas menti ! La richesse des fonds est incroyable, il y a beaucoup de coraux et beaucoup de poissons. Les courants, qui sont assez forts, amènent leurs lots de pélagiques pour notre plus grand plaisir. Raies mantas, requins pointe blanche, pointe noire et gris, thons, tortues, raies pastenagues géantes, napoléons…







Nous faisons 9 plongées extraordinaires. Mais ça se mérite car c’est parfois un peu sportif, les courants sont souvent imprévisibles, ils vous tirent vers la gauche, la droite, en bas, en haut, ce n’est pas une promenade de santé !
Après ces 3 jours fantastiques, nous allons chercher nos visas et partons en avion à Ende, une ville située du côté Est. Étonnamment les billets d’avion sont très bon marché mais il n’y a pas de départ pour tous les aéroports de l’île. Qu’à cela ne tienne, nous prenons le bus à Ende pour aller jusqu’à Maumere, et même un peu plus loin. Nous voici perdus au milieu de nulle part, ici il n’y a quasiment plus de tourisme. Nous louons un petit bungalow en bambou à Lena House sur la plage bordée de cocotiers de Wodong.


Nous louons un scooter pour découvrir la région. Nous roulons jusqu’au village de tisserands de Sikka où il y a une belle Eglise (à Flores, les gens sont majoritairement catholiques).

Nous allons ensuite à Lela, un village de pêcheurs. Nous poussons jusqu’à Koka Beach, 2 petites baies paradisiaques. Nous sommes de l’autre côté de l’île, au Sud, la mer est d’un bleu magnifique, contrairement au Nord où les plages sont noires, mais il y a beaucoup vagues.


Les gens sont incroyablement gentils, absolument tout le monde nous dit bonjour et nous sourit, sans essayer de nous vendre quoique ce soit.
Les 2 jours suivants, nous allons plonger avec Happy Dive, le club d’Ankermi, un petit hôtel situé à 10 minutes à pied de notre plage. Le premier jour, nous visitons l’épave d’un navire japonais de la deuxième guerre mondiale. Il est assez impressionnant avec ses 50m de long. La vie marine qui s’est développée autour est assez riche, nous croisons notamment de belles rascasses volantes.

Nous faisons une muckdive, une plongée où il faut chercher les petites bêtes cachées dans les coraux. C’est le royaume des nudibranches et des crevettes.



Le second jour, direction Pulau Babi (l’île au cochon), pour aller voir du gros, des requins notamment. En tout, nous aurons fait 4 plongées très chouettes et différentes de celles de Komodo.

